Osmitopsis pinnatifida (DC.) K.Bremer
Indigenous

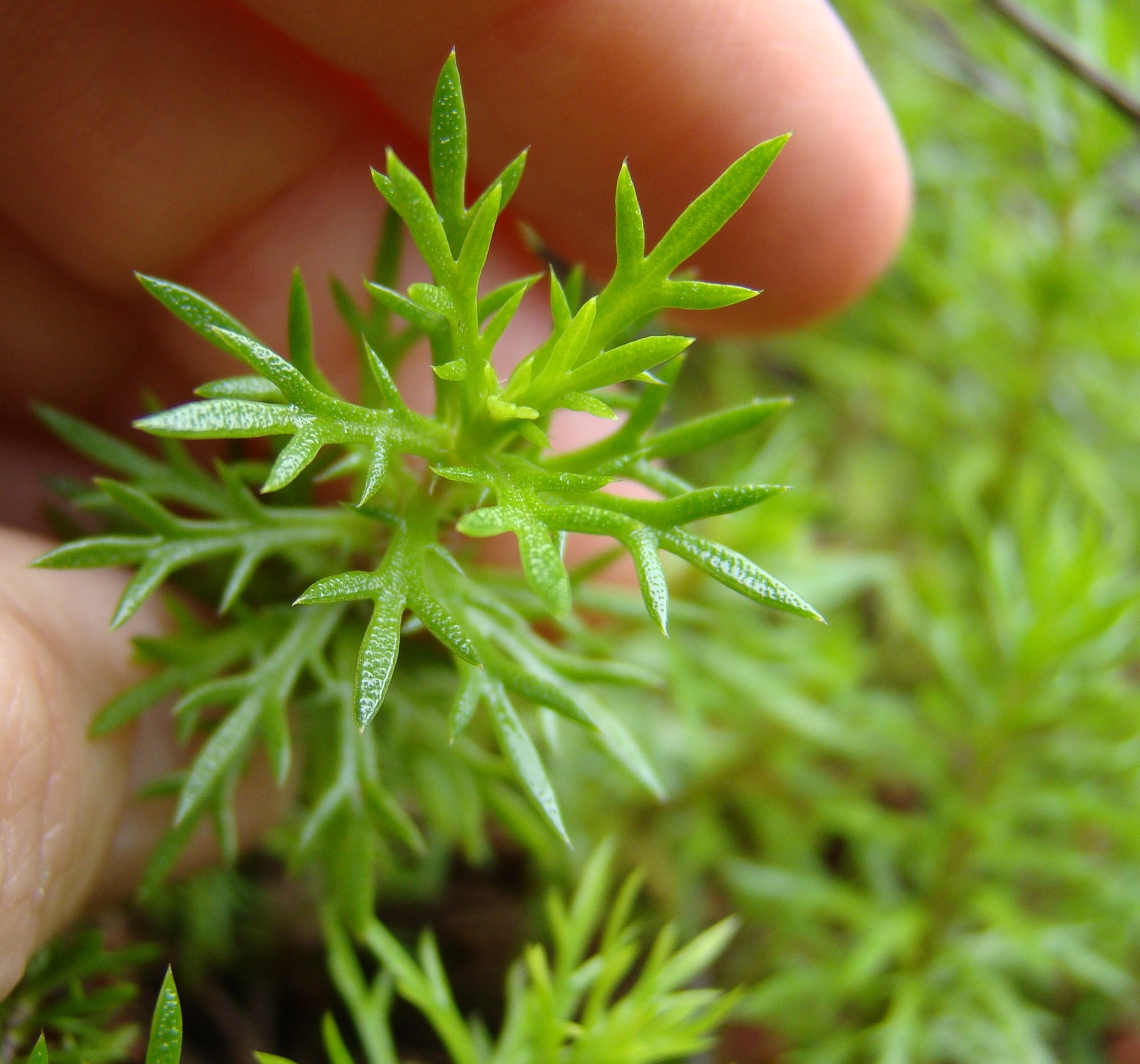
Morphological description

A 30-50 cm high, glabrous suffrutex. Stems simple or ramifying, ascending or erect, somewhat striate, densely leafy, gradually more sparsely upwards, finally clothed with dry leaves and leaf-bases or nude and marked with leaf-scars, terminally bearing a capitulum. Cortex light brown. Leaves spreading or reflexed, herbaceous, narrowly elliptic-oblong-linear or narrowly obovate-oblong, 0.5-4 cm long, 1-4 mm wide, acute-acuminate, entire. Or mostly serrate-pinnatifid; leaf-lobes up to 18, erecto-patent, triangular-subulate, 0.5-8 mm long, 0.1-1.5 mm wide, acute-acuminate. Upper leaves smaller with fewer lobes. Involucre campanulate, 0.5-2 cm wide. Involucral bracts 15-30, 2-3-seriate obovate-oblong or elliptic-oblong, outer lanceolate or oblong, 3.5-8.5 mm long 1-3 mm wide, laterally ± scarious, apically irregularly and ± minutely denticulate-serrulate and sometimes purplish obtuse or mucronate-acuminate. Receptacle convex. Paleae glabrous ± scarious, oblong or narrowly elliptic-oblong, 3-5 mm long, 0.5-1.4 mm wide, apically irregularly serrate, ± acuminate. Ray-florets 10-30, female, mostly fertile, glabrous. Tube cylindrical-funnel-shaped, gradually widening, 0.5-2 mm long, 0.5-0.9 mm wide. Lamina loral or ± narrowly elliptic-oblong, 6-18 mm long, 2-4 mm wide, ± distinctly 6-10-veined, apically entire or ± irregularly and deeply 2-3-lobed. Style 1.8-3.2 mm long, bifid or sometimes simple; style branches 0.3-1 mm long, spreading volute, acute; stylopodium terete, up to 0.2 mm long. Achenes obovate-oblong, 1-2 mm long, 0.5-1 mm wide, somewhat three-four-edged; pappus of many short subulate-triangular connate scales and 2-15 long scales up to 2.5 mm long, subulate, hair-like. From: Bremer, K. 1972. The genus Osmitopsis (Compositae). Bot. Not. 125: 9-48. [All rights reserved]

Densely leafy shrublet to 50 cm. Leaves oblong, deeply lobed to pinnatifid, spreading to reflexed, 5-40 mm long. Flower heads radiate, solitary at branch tips, yellow with white rays; pappus of dimorphic scales. From: Manning, JC; Goldblatt, P. 2012. Asteraceae: Osmitopsis Cass. In: J Manning & P Goldblatt (eds), Plants of the Greater Cape Floristic Region 1: The Core Cape flora. Strelitzia 29: 402-402. South African National Biodiversity Institute, Pretoria. [CC BY]

Diagnostic description

O. pinnatifida is similar to O. nana and small specimens of O. osmitoides. It differs from these species in the character of the pappus. From: Bremer, K. 1972. The genus Osmitopsis (Compositae). Bot. Not. 125: 9-48. [All rights reserved]

Habitat

It grows among rocks and in rock crevices. From: Bremer, K. 1972. The genus Osmitopsis (Compositae). Bot. Not. 125: 9-48. [All rights reserved]

Rocky sandstone slopes mostly above 800 m. From: Manning, JC; Goldblatt, P. 2012. Asteraceae: Osmitopsis Cass. In: J Manning & P Goldblatt (eds), Plants of the Greater Cape Floristic Region 1: The Core Cape flora. Strelitzia 29: 402-402. South African National Biodiversity Institute, Pretoria. [CC BY]

Distribution

Jonkershoek, Simonsberg and Drakenstein Mts and one with many leaf lobes in Wemmershoek. From: Bremer, K. 1972. The genus Osmitopsis (Compositae). Bot. Not. 125: 9-48. [All rights reserved]

Du Toitskloof to Jonkershoek. From: Manning, JC; Goldblatt, P. 2012. Asteraceae: Osmitopsis Cass. In: J Manning & P Goldblatt (eds), Plants of the Greater Cape Floristic Region 1: The Core Cape flora. Strelitzia 29: 402-402. South African National Biodiversity Institute, Pretoria. [CC BY]

Flowering time

November

Occurrence records map

This map contains point-based occurrences at different locations

iNaturalist: BODATSA: Data partners records:

Residence status

Occurrence in the Flora of Southern Africa (FSA) countries and South African provinces. Residence status indicates if a taxon is indigenous, endemic, naturalised or invasive in a specific region. This data is based on specimen records and literature

FSA

SA

BOT

NAM

ESW

LES

WC

EC

NC

FS

GA

KZN

LP

MP

NW

Absent

Indigenous

Endemic

Naturalised

Invasive

Names and Sources

Accepted name
Osmitopsis pinnatifida (DC.) K.Bremer

Published in: Bot. Not. 125(1): 24 (1972)

Synonym(s)

23 results for Osmitopsis pinnatifida (DC.) K.Bremer

Specimen records

Barcode: NBG0202362-0 Collector(s) & number: Helme, NA, 3462 | 2005-5-21

South Africa, Western Cape, Caledon. Kaaimansgat, N of Villiersdorp, upper parts of Waterkloof, S of Kroonland Peak.

General notes: Fynbos biome. Cliff face. Moist/damp, rocky soil. Baserock. Sandstone. Shade. S aspect. Steep slope. No biotic effect seen. Dwarf shrub. Rooted in rock crevices on cliffs. Up to 6 pairs of teeth on leaves. Flowers and fruit absent. Plant height 0.15 m. Fairly common. Usually in slightly damp areas, with some winter spray and seepage.

Data Resource: BODATSA View record

Barcode: NBG1568860-0 Collector(s) & number: Helme, NA, 9321 | 2018-11-3

South Africa, Western Cape, Wemmershoek Mts; Winterberg; head of Tierkloof.

Data Resource: BODATSA View record

Barcode: PRE0806331-0 Collector(s) & number: Rycroft, HB, 1467 | 1953-1-6

South Africa, Western Cape, Jonkershoek: Dwarsberg.

General notes: Det: H.B. Rycroft Conf: K. Bremer

Data Resource: BODATSA View record

Barcode: NBG1478980-0 Collector(s) & number: Helme, NA, 8732 | 2016-4-16

South Africa, Western Cape, Drakenstein Mountains; head of Bergrivier; gorge south of Banghoek Peak.

Data Resource: BODATSA View record

Barcode: PRE0806789-0 Collector(s) & number: Wicht, CL, PRE 61536 | 1937-12-25

South Africa, Western Cape, Jonkershoek State Forest. 1st Waterfall.

General notes: Det: C.L. Wicht Conf: K. Bremer

Data Resource: BODATSA View record

Barcode: PRE0192280-0 Collector(s) & number: Rodin, RJ, 3238 | 1948-1-10

South Africa, Western Cape, STELLENBOSCH; JONKERS HOEK; FOR. RES.

Data Resource: BODATSA View record

Barcode: NBG0275530-0 Collector(s) & number: Helme, NA, 7451 | 2012-10-26

South Africa, Western Cape, Paarl Dist. 11 km W of Franschhoek. Waterfall 1159. Near waterfall above L'Ormarins. 33°54'47.5"S 19°01'18.1"E.

General notes: Alt. 400 m. Fynbos. Kogelberg Sandstone Fynbos. Cliff face. E aspect, steep slope. Bare rock. Moist/damp. Base rock. Shade. Partial shade. No biotic effect seen. Dwarf shrub, 0.15 m. Flowers present. Fruit absent. In bud. Damp ledges and crevices, most plants innaccessible. Near waterfall plunge pool.

Data Resource: BODATSA View record

Barcode: PRE0359375-0 Collector(s) & number: Oliver, EGH, 5494 | 1974-11-23

South Africa, Western Cape, SOUTH WESTERN CAPE; SILVERSTREAMS; IN WATERKLOOF E. OF VILLIERSDORP ON S. SLOPE

Data Resource: BODATSA View record

Barcode: NBG0234370-0 Collector(s) & number: Van der Merwe, P, 2054 | 1959-12-15

South Africa, Western Cape, Stellenbosch Dist. Jonkershoek .

General notes: Rocks near waterfall.

Data Resource: BODATSA View record

Barcode: NBG0027963-0 Collector(s) & number: Rycroft, HB, 1467 | 1953-1-6

South Africa, Western Cape, Stellenbosch Dist. Dwarsberg. Jonkershoek Forest Reserve.

General notes: Alt. ±3600 ft. Rock faces. S aspect. Moist sites. Rays white, disc yellow. Flowers with pungent unpleasant smell of carbide. Locally frequent.

Data Resource: BODATSA View record

Barcode: NBG0234372-0 Collector(s) & number: Kerfoot, O, 5687 | 1967-1-

South Africa, Western Cape, Stellenbosch Dist. Below Dwarsberg ahead of Eerste River tributary under waterfall. Jonkersberg.

General notes: Alt. 4000 ft. Under waterfall. An attractive composite with abundant white and orange flowers, growing in cushion-like masses on wet rocks. Very strong odour of carbide when fern-like foliage is bruised.

Data Resource: BODATSA View record

Barcode: PRE0192281-0 Collector(s) & number: Marsh, 637 | 1967-11-14

South Africa, Western Cape, JONKERSHOEK; KLOOF ABOVE SECOND WATERFALL

Data Resource: BODATSA View record

Barcode: PRE0192282-0 Collector(s) & number: Van der Merwe, P, 2054 | 1959-12-15

South Africa, Western Cape, STELLENBOSCH DIV.; JONKERSHOEK; TWEEDE WATERVAL

Data Resource: BODATSA View record

Barcode: NBG0211416-0 Collector(s) & number: Helme, NA, 5192 | 2007-12-27

South Africa, Western Cape, Noordkloof, upper SE slopes, 1.5 km east of Emerald Dome. 34°00'S: 19°03'E.

General notes: Fynbos biome. Cliff face. Moist/damp, bare rock. Sandstone. Partial shade. E and SE aspect. No biotic effect seen. Shrub. Rays white, discs yellow. Resprouter. Flowers: present. Rare in crevices on cool, damp cliff faces Veld 7 years old. Plant height: 0.1- 0.20 m.

Data Resource: BODATSA View record

Barcode: NBG0199576-0 Collector(s) & number: Helme, NA, 3298 | 2004-12-21

South Africa, Western Cape, Paarl. Wemmershoek Mountains, north of dam, Vellingskloof.

Data Resource: BODATSA View record

Barcode: NBG0027962-0 Collector(s) & number: Dickson, s.n. | 1946-11-28

South Africa, Western Cape, Paarl Dist. French Hoek. Possibly Wemmershoek?

Data Resource: BODATSA View record

Barcode: PRE0192277-0 Collector(s) & number: Esterhuysen, EE, 4026 | 1940-12-15

South Africa, Western Cape, PAARL DIV.; WEMMERSHOEK; APRIL PEAK MTS. SUMMIT

Data Resource: BODATSA View record

Barcode: NBG0027964-0 Collector(s) & number: Esterhuysen, EE, 4026 | 1940-12-15

South Africa, Western Cape, Paarls Div. Wemmershoek Mtns, S side. April Peak.

General notes: Alt. 5000 ft. In rock crevices near the summit. Flowers white. Cited.

Data Resource: BODATSA View record

Observation records

Date: 1/11/2018 8:46:00 AM

Western Cape, South Africa

Data Resource: iNaturalist View record

Barcode: L.3662029 | Collector(s) & number: Esterhuysen EE , Esterhuysen, EE 33773 | 1975-02-16

South Africa

Data Resource: https://ror.org/0566bfb96 View record

Barcode: L 0002194 | Collector(s) & number: Drège JF , Drège, JF s.n. |

South Africa

Data Resource: https://ror.org/0566bfb96 View record

Date: 2/21/2018 8:52:00 AM

Western Cape

Data Resource: iNaturalist View record

Plant occurence records per dataset

Plant occurence records per year

Occurrence records map

This map contains point-based occurrences at different locations

iNaturalist: BODATSA: Data partners records:

2012

SERIES CHAPTER

Asteraceae: Osmitopsis Cass. Manning, JC; Goldblatt, P

In: J Manning & P Goldblatt (eds), Plants of the Greater Cape Floristic Region 1: The Core Cape flora. Strelitzia 29: 402-402

South African National Biodiversity Institute, Pretoria

1972

PERIODICAL/JOURNAL

The genus Osmitopsis (Compositae) Bremer, K

Botaniska Notiser 125: 9-48

No results found for Osmitopsis pinnatifida (DC.) K.Bremer

No assessment available

Part(s) of plant used Use(s) Reference

Coming soon...