PLANTAE / PHANEROGAMAE / ANTHOPHYTA / ROSALES / RHAMNACEAE / ZIZIPHOIDEAE / PALIUREAE / ZIZIPHUS / RIVULARIS
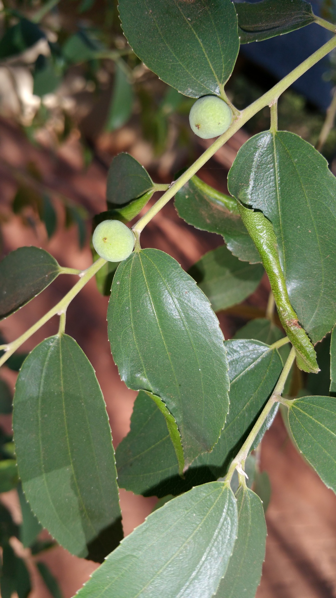
Shrub or small tree, up to 7 m high. Leaf lamina narrowly elliptic-ovate to elliptic-ovate, upper surface glossy, very prominently 3-nerved below from base to apex with prominent reticulate venation on both sides, margin serrulate. Unarmed. Flowers yellowish green. From: Retief, E; Herman, PPJ. 1997. Plants of the northern provinces of South Africa: Keys and diagnostic characters. Strelitzia 6: 1-681. National Botanical Institute, Pretoria. [CC BY]
Banks of streams, rocky watercourses. From: Retief, E; Herman, PPJ. 1997. Plants of the northern provinces of South Africa: Keys and diagnostic characters. Strelitzia 6: 1-681. National Botanical Institute, Pretoria. [CC BY]
November to December
5 to 1100 m
This map contains point-based occurrences at different locations
Occurrence in the Flora of Southern Africa (FSA) countries and South African provinces. Residence status indicates if a taxon is indigenous, endemic, naturalised or invasive in a specific region. This data is based on specimen records and literature
FSA
SA
BOT
NAM
ESW
LES
WC
EC
NC
FS
GA
KZN
LP
MP
NW
Absent
Indigenous
Endemic
Naturalised
Invasive
Names and Sources
| Common name | Language | Reference/barcode | Published as |
|---|---|---|---|
| false buffalo thorn | English | Von Breitenbach, JM; De Winter, B; Poynton, R; Van den Berg, E; Van Wyk, AE. 2001. Pocket list of southern Africa indigenous trees. Briza publications & Dendrological foundation, Pretoria. | |
| false buffalo-thorn | English | Van Wyk, AE; Van den Berg, E; Coates Palgrave, M; Jordaan, M. 2011. Dictionary of names for southern African trees. Briza, Arcadia. | |
| mukhalu-vhufa | Venda | Glen, HF; Hardy, DS; Weisser, PJ. 2001. Miri Yapo Ya Venda Indigenous Trees of Venda. University of Venda for Science and Tech, Thohoya. | |
| mukhalu-vhufa | Venda | Van Wyk, AE; Van den Berg, E; Coates Palgrave, M; Jordaan, M. 2011. Dictionary of names for southern African trees. Briza, Arcadia. | |
| mulalantsa | Venda | Glen, HF; Hardy, DS; Weisser, PJ. 2001. Miri Yapo Ya Venda Indigenous Trees of Venda. University of Venda for Science and Tech, Thohoya. | |
| mulalantsa | Venda | Van Wyk, AE; Van den Berg, E; Coates Palgrave, M; Jordaan, M. 2011. Dictionary of names for southern African trees. Briza, Arcadia. | |
| river jujube | English | Van Wyk, AE; Van den Berg, E; Coates Palgrave, M; Jordaan, M. 2011. Dictionary of names for southern African trees. Briza, Arcadia. | |
| rivierblinkblaar | Afrikaans | Van Wyk, AE; Van den Berg, E; Coates Palgrave, M; Jordaan, M. 2011. Dictionary of names for southern African trees. Briza, Arcadia. | |
| rivierblinkblaar | Afrikaans | Von Breitenbach, JM; De Winter, B; Poynton, R; Van den Berg, E; Van Wyk, AE. 2001. Pocket list of southern Africa indigenous trees. Briza publications & Dendrological foundation, Pretoria. | |
| vals-wag-'n-bietjie | Afrikaans | Van Wyk, AE; Van den Berg, E; Coates Palgrave, M; Jordaan, M. 2011. Dictionary of names for southern African trees. Briza, Arcadia. | |
| vals-wag-'n-bietjie | Afrikaans | Von Breitenbach, JM; De Winter, B; Poynton, R; Van den Berg, E; Van Wyk, AE. 2001. Pocket list of southern Africa indigenous trees. Briza publications & Dendrological foundation, Pretoria. |
Classification
KINGDOM Plantae
SUBKINGDOM Phanerogamae
PHYLUM Anthophyta
ORDER Rosales
FAMILY Rhamnaceae
SUBFAMILY Ziziphoideae
TRIBE Paliureae
GENUS Ziziphus
SPECIES rivularis
46 results for Ziziphus rivularis Codd
Year
Barcode: PRE0466486-0 Collector(s) & number: Burger, GH, 369 | 1976-1-30
South Africa, Limpopo, WYLLIE'S POORT P.O.
Data Resource: BODATSA View record
Barcode: PRE0850918-0 Collector(s) & number: McMurtry, DM, 11996 | 2004-7-14
South Africa, Mpumalanga, South of Richershoek, road to Tongwe (and then Mananga).
Data Resource: BODATSA View record
Barcode: PRE0279919-0 Collector(s) & number: Ward, CJ, 6525 | 1968-3-15
South Africa, KwaZulu-Natal, DURBAN; UMGENI RIVER; N. BANK
Data Resource: BODATSA View record
Barcode: PRE0863995-0 Collector(s) & number: Bester, SP, 12647 | 2015-6-17
South Africa, Gauteng, Wonderboom District. Doornpoort. Raasblaarweg 359B.
Data Resource: BODATSA View record
Barcode: PRE0279913-0 Collector(s) & number: Gerstner, J, 6037 | 1946-3-3
South Africa, Limpopo, WYLLIE'S POORT P.O.
Data Resource: BODATSA View record
Barcode: PRE0739131-0 Collector(s) & number: Venter, S, 10634 | 1985-4-10
South Africa, Limpopo, LOUIS TRICHARDT; BEN LAVIN GAME RES.; GENTLE SLOPE
Data Resource: BODATSA View record
Barcode: NBG1534239-0 Collector(s) & number: Van Jaarsveld, EJ, 1010 | 1975-10-25
South Africa, KwaZulu-Natal, Lebombo mountains ± 3 km east of Mlawula station along Mlawula river towards Umbuluzi Poort. On banks of Mlawula river.
Data Resource: BODATSA View record
Barcode: PRE0748946-0 Collector(s) & number: Hardy, DS, 7143 | 1990-6-2
South Africa, Limpopo, SOUTPANSBERG; WYLLIESPOORT; 2 KM S OF ROAD TUNNEL
Data Resource: BODATSA View record
Barcode: PRE0279912-0 Collector(s) & number: Obermeyer, AA, 474 | 1910-6-
South Africa, Limpopo, ZOUTPANSBERG DIST.; ELIM
Data Resource: BODATSA View record
Barcode: PRE0279910-0 Collector(s) & number: White, F, 10408 | 1973-3-4
South Africa, KwaZulu-Natal, NDUMU GAME RES.; 4 KM. FROM RES. BOUNDARY TO ABERCORN HIL
Data Resource: BODATSA View record
Barcode: PRE0483127-0 Collector(s) & number: Kemp, ES, 468 | 1976-11-7
Eswatini, LUBOMBO DIST.; MLAWULA; 5 MI. S. OF MLAWULA
Data Resource: BODATSA View record
Barcode: PRE0279908-0 Collector(s) & number: Codd, LEW, 3009 | 1947-9-4
South Africa, Limpopo, ZOUTPANSBERG DIST.; WYLLIE'S POORT P.O.
Data Resource: BODATSA View record
Barcode: PRE0279918-0 Collector(s) & number: Codd, LEW, 4823 | 1949-1-17
South Africa, Limpopo, ZOUTPANSBERG DIST.; WYLLIE'S POORT P.O.; S. END
Data Resource: BODATSA View record
Barcode: PRE0279917-0 Collector(s) & number: Van der Schijff, HP, 890 | 1952-10-9
South Africa, Limpopo, LEBOMBO MTS.; KRUGER NAT. PARK; KROKODILBRUG
Data Resource: BODATSA View record
Barcode: PRE0698580-0 Collector(s) & number: Braun, KP, 310 | 1986-12-8
Eswatini, MLAWULA NAT. RES.; SARA CAMPSITE
Data Resource: BODATSA View record
Barcode: PRE0279905-0 Collector(s) & number: Gerstner, J, 6011 | 1946-2-19
South Africa, Limpopo, WYLLIE'S POORT P.O.; S. OF WYLIES POORT
Data Resource: BODATSA View record
Barcode: PRE0466655-0 Collector(s) & number: Van Jaarsveld, EJ, 1010 | 1975-10-25
Eswatini, LEBOMBO MTS.; MLAWULA RIVER; ABOUT 3 KM. E. OF MLAWULA STA TOWARDS UMBULUZI POORT
Data Resource: BODATSA View record
Barcode: PRE0466126-0 Collector(s) & number: Culverwell, J, 69 | 1976-5-8
Eswatini, LUBOMBO MTS.; 17 KM. N. OF SITEKI ON SITEKI/MHLUME RD.BETW. GROENPAN AND CYRILDENE FARMS
Data Resource: BODATSA View record
Barcode: PRE0697887-0 Collector(s) & number: Alward, RD, 67 | 1987-3-4
Eswatini, MLAWULA NAT. RESERVE; BESIDE ROAD NEAR VLEI S OF CAMP
Data Resource: BODATSA View record
Barcode: PRE0279904-0 Collector(s) & number: Van der Schijff, HP, 3051 | 1953-5-29
South Africa, Mpumalanga, KRUGER NAT. PARK; KOMATIPOORT; VELDWAGTERSPOS
Data Resource: BODATSA View record
Barcode: PRE0279914-0 Collector(s) & number: Moll, EJ, 4114 | 1969-10-29
South Africa, KwaZulu-Natal, INGWAVUMA; 5 MI. FROM INGWAVUMA/NDUMU ON W. FACING SLOPE
Data Resource: BODATSA View record
Barcode: PRE0279920-0 Collector(s) & number: Vahrmeijer, J(H), 1666 | 1968-2-24
South Africa, KwaZulu-Natal, MAKATINI FLATS; QUAMBUZI
Data Resource: BODATSA View record
Barcode: PRE0799732-0 Collector(s) & number: Forest Off. Transvaal, PRF 13354 | --
South Africa, Limpopo, Louis Trichardt: Njelele River.
Data Resource: BODATSA View record
Barcode: PRE0279903-0 Collector(s) & number: Lang, H, TRV 32131 | 1932-11-24
South Africa, Limpopo, ZOUTPANSBERG EAST; KRUGER NAT. PARK; BAIANDBAI
Data Resource: BODATSA View record
Barcode: PRE0279915-0 Collector(s) & number: Lang, H, TRV 32131 | 1932-11-24
South Africa, Limpopo, ZOUTPANSBERG EAST; KRUGER NAT. PARK; BAIANDBAI
Data Resource: BODATSA View record
Barcode: PRE0279907-0 Collector(s) & number: Van der Schijff, HP, 3819 | 1954-5-28
South Africa, Limpopo, KRUGER NAT. PARK; PONGOLA RIVER; NGWENDO-WATERGAT
Data Resource: BODATSA View record
Barcode: PRE0464124-0 Collector(s) & number: Van Wyk, P, PRE 56675 | 1966-3-10
South Africa, Mpumalanga, KRUGER NAT. PARK; KROKODILBRUG; LEBOMBO-KROKODILRIVIER
Data Resource: BODATSA View record
Barcode: PRE0517731-0 Collector(s) & number: Culverwell, J, 1209 | 1977-12-4
Eswatini, LUBOMBO MTS.; MLAWULA STA.; MLAWULA FARM 6 MI. SSW. OF STA. AT POOL KNOWN AS THE RHINO POOL
Data Resource: BODATSA View record
Barcode: PRE0669165-0 Collector(s) & number: Mugwedi, EN, 1494 | 1982-12-17
South Africa, Limpopo, VENDA.; TSHIRENZHENI.
Data Resource: BODATSA View record
Barcode: PRE0483222-0 Collector(s) & number: Biggs, DC, 304 | 1976-5-30
South Africa, Limpopo, WYLLIE'S POORT P.O.; PARKFIELD 725 MS FARM
Data Resource: BODATSA View record
Barcode: PRE0279909-0 Collector(s) & number: Coetzee, BJ, 790 | 1969-3-2
South Africa, Mpumalanga, AVONDSTOND PLAAS; AVONDSTOND PLAAS 20 MI. S.O. VAN KOMATI-POORT
Data Resource: BODATSA View record
Barcode: PRE0464123-0 Collector(s) & number: Codd, LEW, 8348 | 1954-1-26
South Africa, Limpopo, SOUTPANSBERG DIST.; WYLLIE'S POORT P.O.; S. END OF POORT
Data Resource: BODATSA View record
Barcode: PRE0055139-0 Collector(s) & number: Coetzee, BJ, 790 | 1969-3-2
South Africa, Mpumalanga, AVONDSTOND PLAAS; AVONDSTOND PLAAS 20 MI. S.O. VAN KOMATI-POORT
Data Resource: BODATSA View record
Barcode: PRE0279906-0 Collector(s) & number: Lamont, 26 | 1948-12-6
South Africa, Limpopo, SHINGWEDZI RIVER
Data Resource: BODATSA View record
Barcode: PRE0352218-0 Collector(s) & number: Coetzee, BJ, 1407 | 1972-3-14
South Africa, Mpumalanga, CASTELLOPOULES FARM; BETW. KOMATIPOORT EN SQUAMANS
Data Resource: BODATSA View record
Barcode: PRE0719540-0 Collector(s) & number: Steel, BS, 620 | 1988-4-26
South Africa, Limpopo, WYLLIES POORT; SOUTH OF WYLLIES POORT JUST BEFORE TUNNEL IN BUSHY AREA CLOSE TO RIVER
Data Resource: BODATSA View record
Barcode: NH0071557-0 Collector(s) & number: Vahrmeijer, J(H), 1966 | 1968-2-24
South Africa, KwaZulu-Natal, Makatini flats near Quambuzi
Data Resource: BODATSA View record
Barcode: PRE0279911-0 Collector(s) & number: Bremekamp, CEB, 372 | 1931-1-29
South Africa, Limpopo, ZOUTPANSBERG DIST.; FUNDUDZI
Data Resource: BODATSA View record
Barcode: PRE0279916-0 Collector(s) & number: Codd, LEW, 7777 | 1953-4-21
South Africa, Mpumalanga, BARBERTON DIST.; KOMATI RIVER; 6 MI. S. OF KOMATIPOORT
Data Resource: BODATSA View record
This map contains point-based occurrences at different locations
1997
SERIES
Plants of the northern provinces of South Africa: Keys and diagnostic characters Retief, E; Herman, PPJStrelitzia 6: 1-681
National Botanical Institute, Pretoria
No results found for Ziziphus rivularis Codd
Status and criteria
NE
Assessor(s)
Plantae Coordinator
| Part(s) of plant used | Use(s) | Reference |
|---|
Coming soon...